I know it’s super selfish to say since many people get their lives ruined in these events but they are so interesting to follow. I would have loved to have been an extreme weatherman reporter in a different life.
This mornings spaghetti plot looks a lot better actually. It has shifted to the east some and most of them having it taking a straight path through florida and out into the Atlantic which would spare the areas north of Tampa from the worst of the flooding if it happened. Also a slight jog of the hurricane east might save Tampa from the worst of the storm surge.
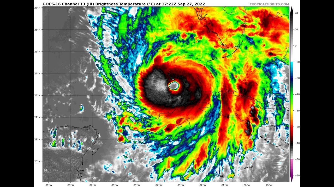
The eye is 20 miles long… just insane to try and grasp.
The moderators of this message board, otatop, L.Washington, WichitaDM, Yuv, JonnyA, RiskyFlush, and SvenO, are cowards who let abusers dox and harrass other long time posters.
The path for Ian is set to wreck Florida if this picks up any steam or slows in the gulf. The northeast quarter of the hurricane typically gets hit the hardest and the whole penis part of the state is in that quarter. So at least at a minimum it is going to be very floody.
https://www.nhc.noaa.gov/refresh/graphics_at4+shtml/161142.shtml?tswind120#contents
How many Floridians do we have on UP?
Same part of the storm is powerful regardless of where, I believe.
I wonder what kind of people are playing poker during a hurricane.
I live in FL, but in the southeast part of state. So far it looks like it will just be rainy and windy here. Normally I take hurricanes as an excuse to leave the state and head to the mountains. This time I decided to stay put, so I fully expect the storm to take a hard easterly turn and come across my part of the state.
Honestly, the Tampa Hardrock is probably one of the safest places to be in that area. It’s reasonably far from the water so catastrophic flooding is unlikely to be a factor. The building is most likely hardened for storms (I know the Hollywood one is, many Tribal members have used it as a storm shelter in the past).
TBH, I don’t remember where I heard it but it was definitely when I was living in Florida and had to dodge hurricanes. The axiom may not be universally true, for example southern hemisphere hurricanes/typhoons spin clockwise.
A little digging and I found this from NOAA. It seems to be mostly physics in that the directional velocity of the hurricane and the velocity of the wind get added together on that side of the storm, whereas on the “left side” of the storm the rotational velocity of the storm/wind is going against the directional velocity of the storm.
Here is an excellent video containing detailed technical explanations of the storm. Just updated an hour ago.
For the nerds only.
Hurricanes are so weird. Been visiting Sanibel Island, FL my whole life, and I find myself rooting for it to go north more and wreck Tampa instead. Bleh. Then you have the catastrophe porn media where you see the glee in their eyes dreaming of a big one. Hate this. GL to everyone soon to be impacted.
Not sure which mayor it was I saw earlier. Seems like a nice guy. Praying for a turn but preparing for the worst.
Please god, let it hit some other poor suckers, not us. (I know that’s not what he meant, but if you think for a second it really is).
Here is an intellectual dancing in front of the webcam. Surprised they haven’t closed the area yet.
I have a deplorable niece who lives in a Tampa suburb about 10 miles from the water who is going to ride it out. That seems like a very bad choice to me but there is zero chance of convincing someone like that either.
These morons are always the first ones complaining when bad shit happens to them too. Like this will definitely end with her ranting about Joe Biden on Facebook, book it.
I am from the Sarasota area, just south of Tampa and now live in Central Florida. Been riding out storms my whole life, the older I get the more stressful it is.
I don’t expect Ian to be that bad where I’m at, but it’s still going to suck.
Just gotta roll with it. I don’t wish hurricanes on anyone but I especially don’t wish one on myself.


